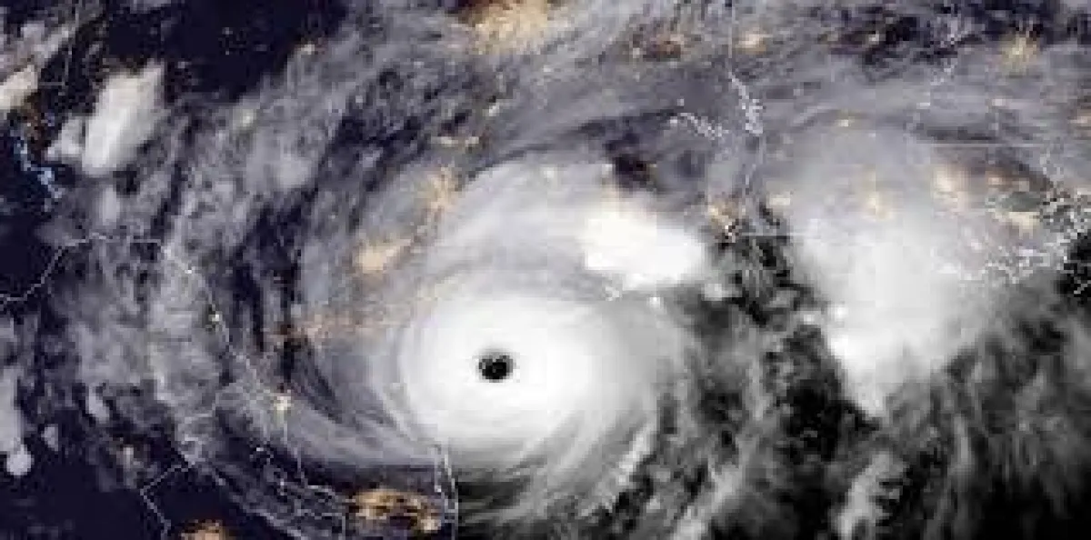
ضرب إعصار غير مسبوق ولاية تكساس -رابع أكبر ولاية أمريكية- وخلف حتى الآن عشرات القتلى والجرحى، ودمارًا كبيرًا في البنى التحتية، وتم إغلاق مطار المدينة، فيما تم إجلاء عشرات الآلاف من السكان؛ حيث تواجه وكالات الإغاثة في هيوستن صعوبات في إيجاد أسرَّة لعشرات الآلاف من أهالي ولاية تكساس، الذين دفعتهم العاصفة القوية إلى الفرار من منازلهم.
وحذر خبراء الأرصاد من أن إعصار «هارفي»، الذي بلغت سرعته 210 كيلومترات في الساعة - سيستعيد قوته ويغرق المناطق الساحلية المدمَّرة المطلة على خليج المكسيك، مجددًا غدًا الأربعاء، فيما تستعد ولاية لويزيانا المجاورة لتلقي نصيبها من الفيضانات.
وأفادت تقارير غير رسمية بسقوط عشرات القتلى والجرحى في الإعصار، الذي وصفه مركز الأعاصير الوطني، بأكبر عاصفة تم تسجيلها.
ومن المقرر أن يقوم الرئيس الأمريكي ترامب بزيارة إلى تكساس اليوم الثلاثاء؛ للاطلاع على آثار الإعصار.
وكتب ترامب في سلسلة من التغريدات عبر «تويتر» بشأن الكارثة، التي تشكل أول تحدٍ داخلي حقيقي له منذ تسلمه منصبه في يناير 2017، «إن التركيز يجب أن ينصبّ على الحياة والسلامة».
وتوقع مدير الوكالة الاتحادية لإدارة الطوارئ، بروك لونغ، وضع أكثر من 30 ألف شخص في مراكز إيواء بشكل مؤقت، وتوفير الرعاية لهم.
وقال: «هذا حدث تاريخي لم نشهد مثيلاً له من قبل»؛ مشيرًا إلى صعوبة التنبؤ بمثل هذه الكارثة.
وأُعلنت أمس حالة الطوارئ الفيدرالية في لويزيانا مثلما حصل في تكساس؛ لإتاحة توفير مستلزمات الإغاثة والإنقاذ.
وبحسب التقارير؛ فقد بلغت كميات الأمطار بين 12,7 و15,2 سم في الساعة.
وحذر حاكم تكساس، غريغ آبوت، من أن العملية تحتاج إلى وقت طويل، وقال إن «عدد الذين يتم إجلاؤهم يزداد، وعدد من هم معرضون للأذى سيزداد كذلك، مع الأمطار التي لايزال يتوقع هطولها»؛ مضيفًا أن العاصفة تسببت بأضرار تبلغ كلفتها مليارات الدولارات.
وأفادت مصلحة الأرصاد الجوية الوطنية، أن «حجم وكثافة هطول الأمطار يتجاوز أي عاصفة واجهتها في الماضي».
وقال معهد متخصص في أبحاث التأمينات، إن تكلفة الأضرار الناجمة عن الإعصار في ولاية تكساس، قد تعادل تكلفة أضرار الإعصار كاترينا، الذي اجتاح نيو أورليانز، كإعصار من الفئة الثالثة في عام 2005، وتسبب في وفاة 1800 شخص.
وحذر خبراء الأرصاد من أن إعصار «هارفي»، الذي بلغت سرعته 210 كيلومترات في الساعة - سيستعيد قوته ويغرق المناطق الساحلية المدمَّرة المطلة على خليج المكسيك، مجددًا غدًا الأربعاء، فيما تستعد ولاية لويزيانا المجاورة لتلقي نصيبها من الفيضانات.
وأفادت تقارير غير رسمية بسقوط عشرات القتلى والجرحى في الإعصار، الذي وصفه مركز الأعاصير الوطني، بأكبر عاصفة تم تسجيلها.
ومن المقرر أن يقوم الرئيس الأمريكي ترامب بزيارة إلى تكساس اليوم الثلاثاء؛ للاطلاع على آثار الإعصار.
وكتب ترامب في سلسلة من التغريدات عبر «تويتر» بشأن الكارثة، التي تشكل أول تحدٍ داخلي حقيقي له منذ تسلمه منصبه في يناير 2017، «إن التركيز يجب أن ينصبّ على الحياة والسلامة».
وتوقع مدير الوكالة الاتحادية لإدارة الطوارئ، بروك لونغ، وضع أكثر من 30 ألف شخص في مراكز إيواء بشكل مؤقت، وتوفير الرعاية لهم.
وقال: «هذا حدث تاريخي لم نشهد مثيلاً له من قبل»؛ مشيرًا إلى صعوبة التنبؤ بمثل هذه الكارثة.
وأُعلنت أمس حالة الطوارئ الفيدرالية في لويزيانا مثلما حصل في تكساس؛ لإتاحة توفير مستلزمات الإغاثة والإنقاذ.
وبحسب التقارير؛ فقد بلغت كميات الأمطار بين 12,7 و15,2 سم في الساعة.
وحذر حاكم تكساس، غريغ آبوت، من أن العملية تحتاج إلى وقت طويل، وقال إن «عدد الذين يتم إجلاؤهم يزداد، وعدد من هم معرضون للأذى سيزداد كذلك، مع الأمطار التي لايزال يتوقع هطولها»؛ مضيفًا أن العاصفة تسببت بأضرار تبلغ كلفتها مليارات الدولارات.
وأفادت مصلحة الأرصاد الجوية الوطنية، أن «حجم وكثافة هطول الأمطار يتجاوز أي عاصفة واجهتها في الماضي».
وقال معهد متخصص في أبحاث التأمينات، إن تكلفة الأضرار الناجمة عن الإعصار في ولاية تكساس، قد تعادل تكلفة أضرار الإعصار كاترينا، الذي اجتاح نيو أورليانز، كإعصار من الفئة الثالثة في عام 2005، وتسبب في وفاة 1800 شخص.





